|  | 
 | ||
| . | |||
| 
 
 
 
 | 
 | |||||||||||||||||||||||||||||||
| Hi-TechУченые заглянули в прошлое марсианских океанов 3:32PM Tuesday, Nov 18, 2008 
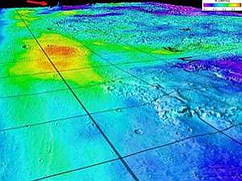
 До настоящего момента основным подтверждением существования океанов служили геологические образования, напоминающие береговую линию, которые отделяют крупные равнины в северной части Марса от боле неровного и возвышенного окружения. Всего на Марсе обнаружено две группы таких "берегов". Из этого ученые заключили, что в прошлом на Красной планете существовало два крупных океана: площадь одного превышала площадь Средиземного моря в 20 раз, а площадь второго - в 10 раз. У многих специалистов, однако, сохранялись сомнения. В своем исследовании ученые построили карту распределения железа, калия и тория в северном полушарии Марса. Это было сделано при помощи гамма-спектрометра, установленного на борту Mars Odyssey. Устройство регистрирует гамма-излучение, испускаемое поверхностью Красной планеты под воздействием космических лучей - потоков заряженных частиц. Анализ излучения и позволяет установить концентрацию тех или иных элементов в грунте на глубине до 30 сантиметров. Совместив карту распределения элементов с геологической картой, ученые обнаружили, что концентрация железа, калия и тория выше на предполагаемом дне древнего океана. По мнению исследователей, это объясняется тем, что данные элементы вымывались из почвы водой и скапливались донных отложениях. Ученые считают, что океаны были относительно короткоживущими образованиями на марсианской поверхности: они возникали в периоды повышенной вулканической активности. В это время температура на планете поднималась и лед таял, превращаясь в воду. Океаны жили от нескольких сотен до нескольких тысяч лет. По материалам lenta.ru | 
Рассылки:   Новости-почтой TV-Программа Гороскопы Job Offers Концерты Coupons Discounts Иммиграция Business News Анекдоты Многое другое... | |||||||||||||||||||||||||||||||
|  | |
| News Central Home | News Central Resources | Portal News Resources | Help | Login | |
|  | |
|  | ||
|         | © 2025 RussianAMERICA Holding All Rights Reserved  Contact | |